Terrenos residenciales en venta

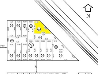
Terreno en esquina - Av. San Martín al 2000, Timbúes .

USD 26.800 EN VENTA

Oportunidad en esquina en Timbúes, dentro del barrio Don Ferruccio. Un lote residencial de 446,01 m² que combina ubicación estratégica y proyección, ideal para quienes buscan construir su casa, negocio, o invertir con mirada a futuro. Su formato en esquina ofrece mayor frente y versatilidad de diseño, facilitando accesos independientes, mejor iluminación y opciones para una implantación funcional. El entorno acompaña con un perfil residencial en crecimiento. Es una opción para quienes priorizan amplitud de terreno y una localización con gran potencial de desarrollo. Ya sea para un proyecto familiar o para capitalizar en un área en constante consolidación, este terreno se presenta como un punto de partida sólido y atractivo. Si buscás un espacio para crear con libertad y aprovechar los beneficios de una esquina en un barrio con identidad, esta propuesta en Timbúes es para vos. Consultanos para conocer más y dar el próximo paso.

Contactar.

USD 26.800 EN VENTA
Código KP466473
Categoría Terrenos residenciales
Estado Activa
Ubicación Av. San Martín 2083
Barrio Timbúes
Localidad San Lorenzo, Santa Fe
Tipo de operación En venta
Piso No definido
Mts totales (mt²) 446.01